Armstrong Estates holds open house

 In News

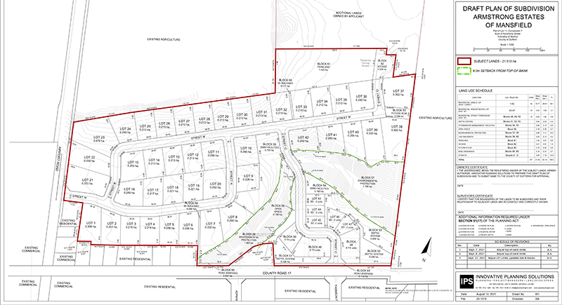
Mansfield area residents had a chance to peek at a draft plan of subdivision for the proposed Armstrong Estates development and pose questions at a virtual open house event on June 29. The event was hosted by Innovative Planning Solutions (IPS) on behalf of the numbered company which owns the subject lands near the intersection of Airport Road and County Road 17.

Greg Barker, a Planner and Partner with IPS described the meeting as a chance to listen to feedback and address concerns prior to a more formal public meeting when the application for rezoning is submitted to Mulmur Township. Many questions from the public concerned energy efficiency and accessibility of the proposed units. Barker explained that these questions will be addressed later at the design level after necessary zoning changes and a draft plan of subdivision have been approved.

The proposed development includes 42 single family dwellings with an average size of 3,750 square feet; 10 bungalow semi-detached homes of approximately 1,790 square feet and 15 townhouse units also approximately 1,790 square feet. No changes toMulmur’s Official Plan are required to accommodate the development but zoning for the site, which is currently mostly classified as Hamlet Residential, would be modified to allow for increased density.

Barker told the meeting that the township’s planning policy supports growth and intensification within the Mansfield Settlement area. The semis and townhouses will cater to an aging demographic looking to downsize, providing needed diversity of housing options.

All units in the proposed development will be connected to the municipal water supply, which has sufficient capacity to handle the growth. Single family homes will have private septic systems. Semis and townhomes will have shared septic systems. A condo corporation will be created for the towns and semis to ensure the cost of those shared systems do not become a burden on the municipality.

While there are many variables in the approvals process, Barker is hopeful that zoning changes and draft plan of subdivision will be in place by this fall allowing the design process to proceed throughout 2023. If all goes according to plan, construction could begin early in 2024. No date has yet been set for formal presentation of the rezoning application.

Recent Posts

Leave a Comment

0